Рыбалка в Алании у отеля: сарган, кальмар, сокар и групер
%%CAT_TITLE%%
Ловля с катера на спиннинг - напишите, чтобы узнать подробнее:
Фото: 22
Просмотров: 0
Дата: 1 год назад
Автор:
Отзыв о туре:
С 24 по 29 сентября жил в A Good Life Utopia Family Resort и каждый свободный кусок времени пытался использовать у воды. На первом же утреннем забросе сел хороший сарган, толщиной в два пальца, но тут же перекусил тонкую леску. После такого старта я был уверен, что дальше все пойдет легко, но бухта у отеля оказалась куда сложнее, чем выглядела.
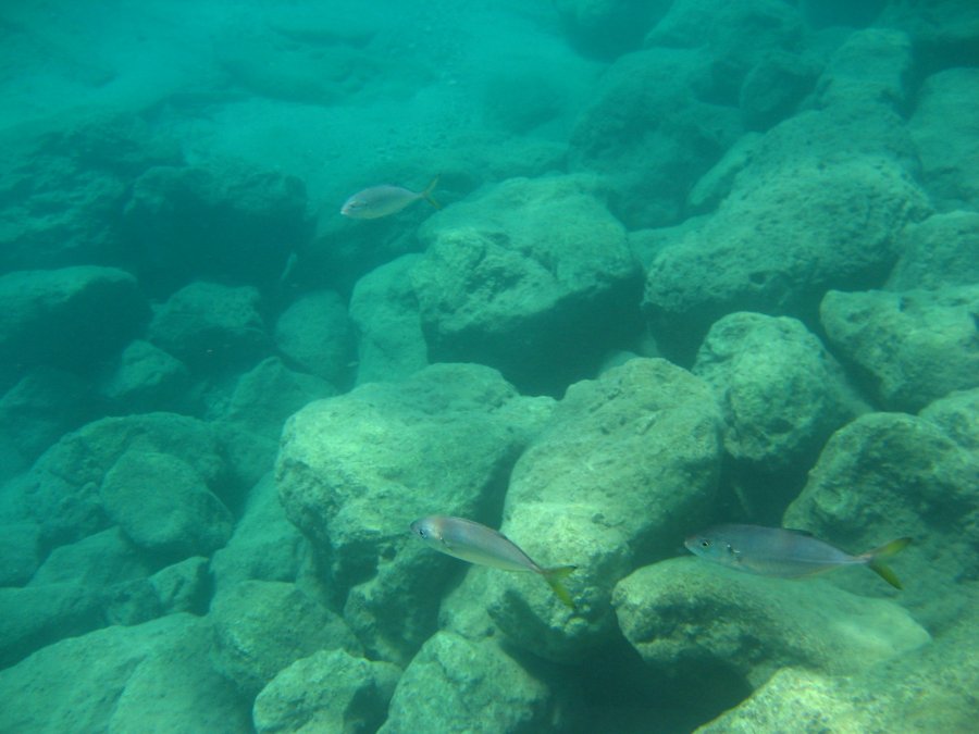
Основная беда там — голодный сокар. Его много, он забивает точку и не дает нормально добираться до другой рыбы. Под берегом стоял перламутровый малек, по нему гулял некрупный золотистый каранкс, но ни одна приманка под малька его толком не включила. Лаврак тоже дважды выходил посмотреть и так же спокойно уходил. Дважды проплыл весь мыс с маской, видел груперов и один раз наткнулся на небольшую стайку саргана, но рыбалку такие эпизоды не делают.
Зато в один из вечеров к камням подошел кальмар, и это реально спасло выезд по эмоциям. Его было достаточно, чтобы ловить еще и еще, но ради спортивного интереса на этом и остановился. По месту вывод честный: бухта красивая, подводной жизни полно, но без точного окна и без терпения легкой рыбалки там не будет.
Основная беда там — голодный сокар. Его много, он забивает точку и не дает нормально добираться до другой рыбы. Под берегом стоял перламутровый малек, по нему гулял некрупный золотистый каранкс, но ни одна приманка под малька его толком не включила. Лаврак тоже дважды выходил посмотреть и так же спокойно уходил. Дважды проплыл весь мыс с маской, видел груперов и один раз наткнулся на небольшую стайку саргана, но рыбалку такие эпизоды не делают.
Зато в один из вечеров к камням подошел кальмар, и это реально спасло выезд по эмоциям. Его было достаточно, чтобы ловить еще и еще, но ради спортивного интереса на этом и остановился. По месту вывод честный: бухта красивая, подводной жизни полно, но без точного окна и без терпения легкой рыбалки там не будет.
Направления:
Рыбалка в Турции
Рыбалка в Алании




